2/6
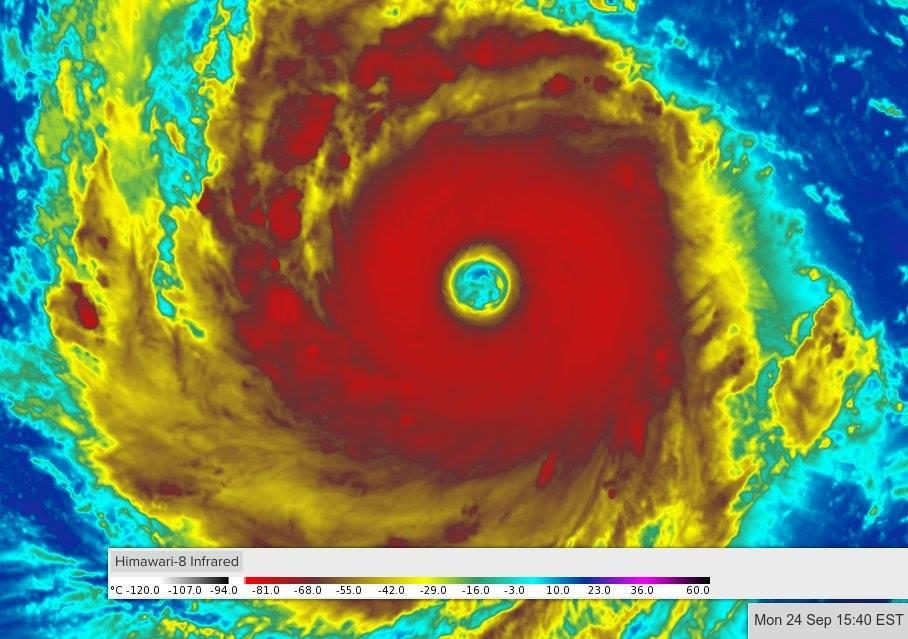
Un uragan de categoria 5, cu rafale de vânt de 270 kilometri pe oră, ar putea lovi Asia în următoarele zile
| Imaginea 2 din 6 | Galerie Foto
Uraganul Trami, de categoria 5, va lovi Taiwanul in urmatoarele zile | Sursa foto: Facebook
Vremea de mâine 29 martie. Va ploua în cea mai mare parte a țării. Maximele zilei, între 10 şi 16 grade
Vremea de mâine 28 martie. Perioadă capricioasă în toată ţară: sunt aşteptate ploi, ninsori şi vânt puternic
30 de judeţe intră sub cod galben de ploi şi vânt. Va ploua în câteva zile cât pentru întreaga lună
Vremea de mâine 27 martie. Se strică vremea, după un episod călduros. Vânt și precipitații în mai multe zone
25 de judeţe intră sub cod galben de vânt şi ploi până luni. La munte, ninge viscolit
Vremea de mâine 26 martie. Se încălzește peste normalul perioadei, dar apar ploi și rafale puternice de vânt