Observator » Știri Uragan Florenta 2018

Știri uragan florenta 2018

Citeste ultimele stiri pe Observator despre Uragan Florenta 2018. Fii informat cu Observatornews.ro, site de stiri care prezinta cele mai noi informatii, reportaje si evenimente din tara si din lume.

Află mai multe
Uraganul Florence a fost retrogradat la categoria 3, dar rămâne în continuare periculos
Ştiri externe

Uraganul Florence a fost retrogradat la categoria 3, dar rămâne în continuare periculos

Uraganul Florence a fost retrogradat la categoria 3, dar rămâne în continuare periculos

Uraganul Florence, care ameninţă coasta de est a SUA, a fost retrogradat la categoria 3, dar a rămas periculos, a anunţat,...

pe 12.09.2018 la 22:20
Uraganul Florence. Donald Trump îi avertizează pe americani: "Ar putea fi cea mai putenică furtună văzută vreodată. Fugiți din calea ei" (Video)
Ştiri externe

Uraganul Florence. Donald Trump îi avertizează pe americani: "Ar putea fi cea mai putenică furtună văzută vreodată. Fugiți din calea ei" (Video)

Uraganul Florence. Donald Trump îi avertizează pe americani: "Ar putea fi cea mai putenică furtună văzută vreodată. Fugiți din calea ei" (Video)

Uraganul Florence. Președintele Donald Trump îi avertizează pe locuitorii din Carolina de Nord și de Sud că trebuie să fugă...

pe 12.09.2018 la 16:34
Uraganul Florence. Peste un milion de oameni au fost evacuaţi din calea uraganului de categoria 4 (Video)
Ştiri externe

Uraganul Florence. Peste un milion de oameni au fost evacuaţi din calea uraganului de categoria 4 (Video)

Uraganul Florence. Peste un milion de oameni au fost evacuaţi din calea uraganului de categoria 4 (Video)

Autorităţile americane au dispus evacuarea a peste un milion de persoane din Carolina de Sud şi Virgina din cauza uraganului...

pe 11.09.2018 la 15:41
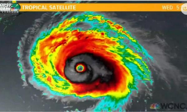
Uragan Florence, de categoria 4
Ştiri externe

Așa arată văzut din spațiu uraganul Florence, de categoria 4 din 5

Așa arată văzut din spațiu uraganul Florence, de categoria 4 din 5

NASA a dat publicității, luni, imagini cu uraganul Florence văzut din spațiu, după ce a fost ridicat deja la categoria 4.

pe 10.09.2018 la 21:58
ULTIMELE ȘTIRI Vezi ultimele stiri