Revoltă printre controlorii de trafic din România, după ce un coleg a murit în timpul programului de lucru
Revoltă printre controlorii de trafic din România, după ce un coleg a murit în timpul programului de lucruClipe de panică la sediul ROMATSA, locul de coordonare al tuturor zborurilor din spaţiul aerian românesc. Un controlor de trafic...
pe 15.10.2019 la 20:03
Un veteran de război a omagiat într-un mod inedit momentul în care a fost capturat
Un veteran de război a omagiat într-un mod inedit momentul în care a fost capturatSandy Cortmann, 97 de ani, un veteran din Al Doilea Război Mondial, a marcat într-un mod deosebit aniversarea a 75 de ani de la...
pe 22.09.2019 la 10:24
O companie din Franţa vrea să lanseze, de anul viitor, taxiurile zburătoare
O companie din Franţa vrea să lanseze, de anul viitor, taxiurile zburătoareAdio stres şi ore petrecute în trafic. O companie din Franţa propune o alternativă rapidă şi nepoluantă pentru transportul...
pe 17.09.2019 la 22:18
Un pasager a stat şase ore în picioare, în avion, pentru ca soţia lui să doarmă liniştită
Un pasager a stat şase ore în picioare, în avion, pentru ca soţia lui să doarmă liniştităCourtney Lee Johnson, un afacerist american, a scos la iveală, pe Twitter, o poveste romantică desprinsă din filmele artistice.
pe 06.09.2019 la 17:37
Pasager neobişnuit într-o cursă aeriană din SUA: un ponei a zburat în cabină
Pasager neobişnuit într-o cursă aeriană din SUA: un ponei a zburat în cabinăPasager neobişnuit într-o cursă aeriană din Statele Unite: un ponei a zburat în cabină. Căluţul a fost foarte cuminte şi se...
pe 01.09.2019 la 13:22
Regrete pentru un zburător cu parapanta, după ce s-a văzut la mare înălțime
Regrete pentru un zburător cu parapanta, după ce s-a văzut la mare înălțimePrimul zbor cu parapanta s-a transformat în coşmar pentru un bărbat din India, care s-a speriat când s-a văzut la mare...
pe 31.08.2019 la 23:59
Hong Kong, paralizat de proteste și greve de mai bine de două luni
Hong Kong, paralizat de proteste și greve de mai bine de două luniSunt scene explozive în Hong Kong, oraş paralizat de o grevă generală şi de lupte între manifestanţi şi forţele de ordine.
pe 05.08.2019 la 22:17
Tips & Trips. De ce întârzie avioanele
Tips & Trips. De ce întârzie avioaneleAeroporturile sunt din ce în ce mai aglomerate, doar, nu-i aşa, se simte miros de vacanţă. Numai că avioanele uneori mai şi...
pe 16.06.2019 la 11:41
Zbor pe deasupra spectatorilor şi coregrafii uluitoare în Timişoara
Zbor pe deasupra spectatorilor şi coregrafii uluitoare în TimişoaraÎn Timişoara, artiştii au prins aseară aripi. La propriu. În centrul oraşului, balerinii unei trupe spaniole au „zburat"...
pe 15.06.2019 la 11:24
Frica de zbor, tratată cu ajutorul realității virtuale
Frica de zbor, tratată cu ajutorul realității virtualePentru mulţi dintre noi frica de înălţime poate fi o experienţă traumatizantă. Iar simplu fapt că stai foarte aproape de o...
pe 10.06.2019 la 14:50
Mister total în cazul elicopterului prăbușit la Săpânța
Mister total în cazul elicopterului prăbușit la SăpânțaDupă zile de anchetă misterul elicopterului prăbuşit în apropiere de Săpânţa este departe de a fi elucidat. Anchetatorii nu...
pe 13.05.2019 la 17:05
Despăgubirea de zbor întârziat. Vezi aici ce drepturi ai!
Despăgubirea de zbor întârziat. Vezi aici ce drepturi ai!Se apropie sezonul vacanţelor. O perioadă în care mai toate avioanele vor fi pline. Iar, inevitabil, atunci când este...
pe 31.03.2019 la 10:22
Capsula spaţială Dragon, produsă de SpaceX, a revenit pe Pământ
Capsula spaţială Dragon, produsă de SpaceX, a revenit pe PământCapsula spaţială Dragon a revenit pe Pământ, după primul său zbor dus-întors până la Staţia Spaţială Internaţională,...
pe 09.03.2019 la 10:59
Fetiţă grav bolnavă, dată jos din avionul spre un spital din Italia. Pilotul i-a refuzat zborul salvator
Fetiţă grav bolnavă, dată jos din avionul spre un spital din Italia. Pilotul i-a refuzat zborul salvatorO fetiţă grav bolnavă a fost dată jos din avion, chiar în drum spre operaţia salvatoare. Pilotul aeronavei a luat decizia...
pe 26.02.2019 la 20:50
Clipe de teroare într-o cursă aeriană din Statele Unite
Clipe de teroare într-o cursă aeriană din Statele UniteZeci de oameni au trăit clipe de teroare în timpul unui zbor din Statele Unite. Avionul în care se aflau a trecut printr-o zonă...
pe 15.02.2019 la 00:05
Trips & Tips! Ce să faci când ai o escală lungă până la următorul zbor
Trips & Tips! Ce să faci când ai o escală lungă până la următorul zborAtunci când mergem în vacanţe peste mări şi ţări, una dacă nu chiar două zile se pierd pe drum. Escalele sunt cele care pot...
pe 10.02.2019 la 11:01
Tips and Trips. De ce unele curse cu avionul sunt mai scurte, deși se urmează aceeași ruta și se zboară cu același avion
Tips and Trips. De ce unele curse cu avionul sunt mai scurte, deși se urmează aceeași ruta și se zboară cu același avionDe la Bucuresti la Paris, avionul face in medie cam doua ore si 45 de minute. La retur, surpriza! Desi merge pe aceeasi ruta, durata...
pe 25.11.2018 la 09:49
Tot mai mulţi tineri români vor să devină piloţi de avioane uşoare
Tot mai mulţi tineri români vor să devină piloţi de avioane uşoareTot mai mulţi tineri români vor să devină piloţi de avioane uşoare. Iar pentru asta fac cursuri în domeniu. Până să...
pe 06.11.2018 la 19:37
Cum poate fi tratată frica de avion cu ajutorul unui simulator de zbor
Cum poate fi tratată frica de avion cu ajutorul unui simulator de zborJumătate dintre românii care călătoresc cu avionul au frică de zbor, arată un studiu recent. Iar un sfert dintre ei au trecut...
pe 15.10.2018 la 20:54
Cel mai lung zbor comercial fără oprire leagă Singapore de New York
Cel mai lung zbor comercial fără oprire leagă Singapore de New YorkSingapore Airlines reia cel mai lung zbor comercial fără oprire după cinci ani de pauză. Cursa directă Singapore - New York...
pe 12.10.2018 la 09:15
Zeci de kiteri au zburat deasupra mării agitate şi au oferit un spectacol inedit
Zeci de kiteri au zburat deasupra mării agitate şi au oferit un spectacol ineditVântul puternic, care a închis de aseară toate porturile româneşti de la Marea Neagră, este motiv de bucurie pentru iubitorii...
pe 30.09.2018 la 19:36
Momente de panică la bordul cursei Blue Air Bucureşti-Oradea, povestite de pasagerii întorşi de trei ori din drum
Momente de panică la bordul cursei Blue Air Bucureşti-Oradea, povestite de pasagerii întorşi de trei ori din drumAu fost momente de derută la bordul avionului unei companii low-cost. Cei 70 de pasageri au fost urcaţi şi coborâţi de mai...
pe 22.08.2018 la 19:16
Zbor cu emoții pentru rapperul Post Malone. A avut loc o explozie la bordul avionului în care se afla
Zbor cu emoții pentru rapperul Post Malone. A avut loc o explozie la bordul avionului în care se aflaRapperul american Post Malone a trecut prin mari emoţii chiar după ce a fost distins cu un premiu la gala MTV din New York....
pe 22.08.2018 la 09:02
O bunică dinTaiwan, practicantă a zborului cu parapanta la 93 de ani
O bunică dinTaiwan, practicantă a zborului cu parapanta la 93 de aniO bunică de 93 de ani a devenit cea mai vârstnică practicantă a zborului cu parapanta, cel puţin în Insula Taiwan. Fireşte,...
pe 10.08.2018 la 07:38
Noi imagini cu cele două avioane care s-au ciocnit în zbor, lângă Suceava. Singurul pilot supravieţuitor este în stare critică
Noi imagini cu cele două avioane care s-au ciocnit în zbor, lângă Suceava. Singurul pilot supravieţuitor este în stare criticăNoi imagini surprinse imediat după tragedia aviatică de lângă Suceava ar putea face lumină în anchetă. Cele două avioane...
pe 05.08.2018 la 19:06
Concurs spectaculos de kitesurfing, cu zeci de zmeie, la Mamaia
Concurs spectaculos de kitesurfing, cu zeci de zmeie, la MamaiaDin ce în ce mai mulţi români au prins gustul aventurii. Aventură extremă în valuri, cu ajutorul vântului. Vorbim despre...
pe 04.08.2018 la 21:43
Filmul accidentului aviatic de la Suceava. Două avioane s-au cicnit în zbor, imaginile sunt teribile
Filmul accidentului aviatic de la Suceava. Două avioane s-au cicnit în zbor, imaginile sunt teribileDouă avioane s-au ciocnit în aer, chiar înaintea unui show aviatic, lângă Suceava. Un pilot de excepţie a murit pe loc în...
pe 04.08.2018 la 19:05
Haos pe Aeroportul Otopeni, în urma anulării mai multor zboruri. Regulile care protejează pasagerii
Haos pe Aeroportul Otopeni, în urma anulării mai multor zboruri. Regulile care protejează pasageriiA fost scandal în Aeroportul Otopeni. Aproximativ 100 de oameni al căror zbor spre Cipru a fost anulat au scandat împotriva...
pe 02.08.2018 la 19:27
Raport final în cazul zborului Malaysia Airlines! Patru ani și 1.500 de pagini, dar nimeni nu știe unde s-a prăbușit avionul
Raport final în cazul zborului Malaysia Airlines! Patru ani și 1.500 de pagini, dar nimeni nu știe unde s-a prăbușit avionulMisterul zborului Malaysia Airlines se adânceşte. La mai bine de patru ani după dispariţia aeronavei în care se aflau 239 de...
pe 31.07.2018 la 07:52
50 de oameni au fost blocaţi pe aeroportul din Timişoara preţ de câteva ore, după ce zborul lor către Luton a fost anulat
50 de oameni au fost blocaţi pe aeroportul din Timişoara preţ de câteva ore, după ce zborul lor către Luton a fost anulatAproape 50 de oameni au fost blocaţi în aeroportul din Timişoara preţ de câteva ore, după ce zborul lor către Luton a fost...
pe 30.07.2018 la 07:49
Cum învingi frica de avion. Trucuri pentru a scăpa de teama de zbor
Cum învingi frica de avion. Trucuri pentru a scăpa de teama de zborCum învingi frica de avion? Teama de a zbura cu o aeronavă este comună multor oameni. Medicii recomandă chiar pastile, dar...
pe 26.07.2018 la 17:36
Turistă din Cehia, salvată cu elicopterul SMURD de pe crestele Masivului Retezat pe furtună
Turistă din Cehia, salvată cu elicopterul SMURD de pe crestele Masivului Retezat pe furtunăO turistă rănită pe Vârful Retezat a fost salvată într-o operaţiune spectaculoasă, pe furtună. Un elicopter a survolat...
pe 07.07.2018 la 19:15
Avioanele vechi sunt mai putin sigure decat cele care au doar cativa ani de zbor
Avioanele vechi sunt mai putin sigure decat cele care au doar cativa ani de zborDe multe ori auzim ca avioanele vechi sunt mai putin sigure decat cele care au doar cativa ani de zbor.
pe 17.06.2018 la 08:40
Sute de români şi-au petrecut noaptea lângă Bruxelles, după ce avionul cu care se întorceau acasă s-a defectat
Sute de români şi-au petrecut noaptea lângă Bruxelles, după ce avionul cu care se întorceau acasă s-a defectatSute de români şi-au petrecut noaptea lângă Bruxelles, după ce avionul cu care trebuiau să ajungă la Cluj Napoca s-a defectat
pe 04.06.2018 la 07:19
Primele imagini cu românul care a încercat să deschidă uşa unui avion în timpul zborului
Primele imagini cu românul care a încercat să deschidă uşa unui avion în timpul zboruluiAu apărut primele imagini cu românul care a încercat să deschidă uşa unui avion în timpul zborului.
pe 17.04.2018 la 19:25
Pizza vine în zbor! Un restaurant din India a lansat serviciul de livrare aerian, cu ajutorul unei drone
Pizza vine în zbor! Un restaurant din India a lansat serviciul de livrare aerian, cu ajutorul unei droneEste un mod simplu prin care traficul infernal poate fi evitat, iar toţi clienţii îşi primesc la timp comenzile.
pe 28.03.2018 la 20:09
Vremea a făcut prăpăd şi la Otopeni, unde au fost anulate 12 zboruri
Vremea a făcut prăpăd şi la Otopeni, unde au fost anulate 12 zboruriPaisprezece curse anulate şi zeci de zboruri întârziate!
pe 23.03.2018 la 19:14
Oamenii nevăzuți din spatele unui zbor. O echipă Observator a filmat pe cel mai mare aeroport din Olanda
Oamenii nevăzuți din spatele unui zbor. O echipă Observator a filmat pe cel mai mare aeroport din OlandaLe vedem în fiecare avion din lume, sunt elegante, zâmbitoare şi îmbrăcate la patru ace! Vorbim despre însoţitoarele de zbor,...
pe 17.03.2018 la 13:51
Zbor de coșmar deasupra Pacificului. Sute de pasageri ai unui avion american au trait spaima vieţii lor
Zbor de coșmar deasupra Pacificului. Sute de pasageri ai unui avion american au trait spaima vieţii lorSute de pasageri ai unui avion american au trait spaima vieţii lor când au primit instrucţiuni să se pregătească pentru o...
pe 14.02.2018 la 19:38
Frica de avion se poate vindeca! 'Terapia' începe chiar în cabina de pilotaj a unei aeronave
Frica de avion se poate vindeca! 'Terapia' începe chiar în cabina de pilotaj a unei aeronaveFrica de avion se poate vindeca. Şi nu oricum, ci tocmai în cabina de pilotaj a unei aeronave, dar în simulator.
pe 14.02.2018 la 07:52
Simulatorul poate vindeca frica de zbor. O dovedeşte un reportaj exclusiv Observator
Simulatorul poate vindeca frica de zbor. O dovedeşte un reportaj exclusiv ObservatorFrica de avion se poate vindeca. Şi nu oricum, ci tocmai în cockpitul unei aeronave, dar în simulator.
pe 13.02.2018 la 19:22
Premieră mondială. Prima dronă cu pasager a zburat
Premieră mondială. Prima dronă cu pasager a zburatPrima dronă cu pasageri din lume a efectuat primul său zbor public. Vehiculul a fost testat în China şi a fost o reuşită totală.
pe 07.02.2018 la 16:48
Premieră la parada de 1 Decembrie! Show unic pregătit de cea mai zgomotoasă formaţie aviatică a Canadei
Premieră la parada de 1 Decembrie! Show unic pregătit de cea mai zgomotoasă formaţie aviatică a CanadeiPe deasupra Arcului de Triumf vor trece două avioane de luptă, F18, la doar 500 de metri de sol, o altitudine foarte mică.
pe 01.12.2017 la 07:29
Madonna nu aruncă banii pe geam! Diva pop a zburat la clasa economică (VIDEO)
Madonna nu aruncă banii pe geam! Diva pop a zburat la clasa economică (VIDEO)Deşi e una dintre cele mai bogate vedete din lume, Madonna nu a uitat cum e să trăieşti cu un buget restrâns.
pe 03.11.2017 la 16:32
Probleme majore la Craiova, acolo unde pasagerii zborurilor de Bologna şi de Roma sunt blocaţi din cauza ploii!
Probleme majore la Craiova, acolo unde pasagerii zborurilor de Bologna şi de Roma sunt blocaţi din cauza ploii!Ploaia a creat probleme majore şi la Craiova, acolo unde pasagerii zborurilor de Bologna şi de Roma sunt blocaţi la sol de...
pe 24.10.2017 la 13:13
Zborul cu balonul, atracția verii pe litoralul românesc din 2018
Zborul cu balonul, atracția verii pe litoralul românesc din 2018Turiştii care vor veni anul viitor pe litoralul românesc vor putea avea toată lumea la picioare! Şi asta pentru că vor putea...
pe 11.10.2017 la 16:39
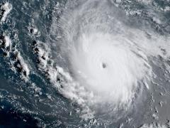
Au zburat în inima uraganului IRMA! Imagini INCREDIBILE surprinse din miezul celui mai intens ciclon tropical din ISTORIE (VIDEO)
Au zburat în inima uraganului IRMA! Imagini INCREDIBILE surprinse din miezul celui mai intens ciclon tropical din ISTORIE (VIDEO)Un avion aparținând National Oceanic and Atmospheric Administration (NOAA), din Statele Unite, a fost pilotat în inima uraganului...
pe 07.09.2017 la 20:50
În tandem au zburat cu parapanta, în tandem au ajuns în vârful unui brad, de unde au fost daţi jos cu macaraua pompierilor
În tandem au zburat cu parapanta, în tandem au ajuns în vârful unui brad, de unde au fost daţi jos cu macaraua pompierilorZborul cu parapanta a doi turişti, aflaţi în vacanţă la Sinaia, s-a oprit într-un brad. Cei doi s-au gândit să experimenteze...
pe 02.09.2017 la 19:30
Bărbatul care a scos pilotul din avionul prăbuşit lângă Paşcani a vorbit despre momentele de GROAZĂ pe care le-a trăit
Bărbatul care a scos pilotul din avionul prăbuşit lângă Paşcani a vorbit despre momentele de GROAZĂ pe care le-a trăitE anchetă în cazul ultimului zbor de ieri după-amiază, de lângă Paşcani. Un maestru al aerului, un pilot în vârstă de 60...
pe 20.08.2017 la 08:04
Pregătiri pentru Ziua Marinei! Piloţii de la Mihail Kogălniceanu participă ÎN PREMIERĂ la sărbătoarea de la malul mării (VIDEO)
Pregătiri pentru Ziua Marinei! Piloţii de la Mihail Kogălniceanu participă ÎN PREMIERĂ la sărbătoarea de la malul mării (VIDEO)Două mii de marinari civili şi militari, 35 de nave şi mai multe aparate de zbor vor participa mâine la Ziua Marinei.
pe 14.08.2017 la 14:02